Rango de precios: De a

Comparar listados

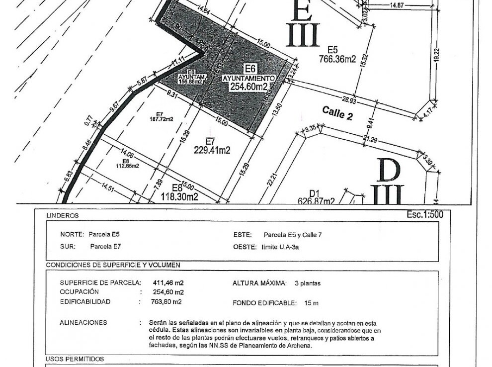
Parcela Urbana 100% edificable de 254 m2 en Villarias, Archena.

30600 Archena
49.000€

Descripción

¿Estas buscando en una de las mejores zonas de Archena un terreno urbano, edificable 100 %, y con una fachada de 7.80 metros? Te presentamos este suelo urbano en la zona de Villarias, muy cerca del Balneario de Archena y pegado a la via Verde, en este solar puedes llegar a edificar hasta 763 m2, en tres alturas.~ ~ Si prefieres no meterte en obra y te gustan las casas de madera, puedes colocar (si lo deseas) una con vistas al rio y al paseo! ~ ~ Los accesos y las comunicaciones de esta parcela, son inmejorables, es una zona tranquila y con todos los servicios cerca, (para mayor referencia de su ubicacion, la encontraras al lado de la policia local de Archena).~ ~ REF. RE/G2030.~ ~ Precio 49.000 €~~

Detalle

  • Icon
    Referencia
    REG2030
  • Icon
    Tamaño de propiedad
    0 m²
  • Icon
    Tamaño del terreno
    276

Actualizado en noviembre 6, 2025 a 5:28 pm

Caracteristicas

Dirección

  • Ciudad: Archena
  • Código postal: 30600
  • Barrio: Villarias
  • País: es

Eficiencia energética

Clase energética
G
Índice de rendimiento energético
  • A+
  • A
  • B
  • C
  • D
  • E
  • F
  • | Clase energética G
    G